出自:专业案例考试

某建筑柱下桩基采用等边三桩承台,如图所示,承台等厚三向均匀配筋。在荷载的基本组合下,作用在承台顶面的轴心竖向压力为2500kN,承台及其上土的自重标准值为280kN。基本组合由永久荷载控制。按《建筑桩基技术规范》作答。试问:该承台正截面最大弯矩设计值(kN·m)最接近下列()项。
A:750
B:800
C:850
D:950
某建筑基坑采用排桩作为支护结构,如图所示,排桩桩长为9m,地基土为均质砂土,坑底采用集水井进行排水。已知砂土的饱和重度为18kN/m3,取γw=10kN/m3。按《建筑地基基础设计规范》作答。试问:为满足抗渗流稳定性,排桩嵌固深度t(m)至少为下列()项。()
A:0.5
B:1.0
C:2.0
D:3.0
某建筑物基础采用条形基础,埋深1.5m,条形基础轴线间距为8m,地基土重度为20kN/m3,作用在基础顶面的竖向荷载标准组合值为FK=400kN/m,修正后的地基承载力特征值fA=200kPa,无明显的软弱下卧层或坚硬下卧层。试问:该工程详勘时,钻孔最小孔深应取下列()项。()
A:6.5m
B:8.5m
C:10.0m
D:10.5m
根据静载试验结果确定单桩的竖向承载力。某工程为混凝土灌注桩。在建筑场地现场已进行的3根桩的静载荷试验(φ377的振动沉管灌注桩),其报告提供根据有关曲线确定桩的极限承载力标准值分别为590kN、605kN、620kN。极限承载力设计值为()。
A:356kN
B:405kN
C:550kN
D:605kN
某地区标准冻深为1.8m,地基由均匀的碎石土组成,场地位于城市市区,该城市市区人口为35万人。冻土层内冻前天然含水量的平均值为16%,冻结期间地下水位距冻结面的最小距离为1.5m,则该地区基础设计冻深为()m。()
A:1.8
B:2.04
C:2.27
D:2.15
某建筑柱下桩基承台,承台底面标高为-2.0m,承台下布置了沉管灌注柱,桩径0.5m,桩长12m,建造地位于7度抗震设防区(0.15g),设计地震分组为第一组,工程地质及工程土质性质指标及测点1、2的深度dS,如图所示。 当测点1的实际标准贯入锤击数为9;测点2的实际标准贯入锤击数为13时,单桩竖向抗震承载力特征值R(kN)最接近下列()项。
A:1174
B:1467
C:1528
D:1580
某场地作为地基的岩体完整,ψxc=0.5,室内12个饱和单轴抗压强度的平均值为26.51MPa,变异系数为0.2,按《建筑地基基础设计规范》(GB50007-2011),上述数据确定的岩石地基承载力特征值最接近于()数值。()
A:13.6MPa
B:11.6MPa
C:12.6MPa
D:10.6MPa
软土层某深度处用机械式(开口钢环)十字板剪力仪测得原状土剪损时量表最大读数Ry=215(0.01mm),轴杆与土摩擦时量表最大读数Rg=20(0.01mm);重塑土剪损时量表最大读数=64(0.01mm),轴杆与土摩擦时量表最大读数=10(0.01mm)。已知板头系数k=129.4m-2,钢环系数C=1.288N/0.01mm。由此土的灵敏系数接近于()数值。()
A:2.2
B:3.0
C:3.6
D:4.5

某高层建筑场地(地震分组为一组),设防烈度为8度,地下水位埋深1m,黏粒含量为3%,地层分布如下:0~2.5m为黏质粉土;2.5~8.6m为粉砂;8.6~25m为黏土。标贯试验资料见下表。
试分析,并做如下判别:



第1题,共1个问题
(单选题)可能发生液化的土层层数为()。
A:5层
B:6层
C:7层
D:8层
采用砂石桩处理软土地基,设计砂石桩直径d=550mm,采用等边三角形布桩;砂石桩按规范要求施工成桩后桩体的承载力特征值f=300kPa。某处理砂土地基,砂土的最大干密度ρdmax=1.64t/m3,最小干密度ρdmin=1.45t/m3,砂石地基的相对密度d=2.70,天然孔隙比e0=0.80。用砂石桩进行处理后砂土的相对密度Dr=0.80,不考虑振动下沉密实作用,则可确定石桩间距最合适的是()。
A:2.64m
B:2.10m
C:1.50m
D:2.75m。
某折线形滑面边坡由三个块体组成,各滑动块体单位宽度的资料如下表所示,边坡等级为Ⅱ级,边坡中未见地下水,边坡顶面无荷载,按《建筑边坡工程技术规范》(GB50330-2002)计算,该边坡的稳定性系数Ks为()。
A:0.99
B:1.09
C:1.19
D:1.29
某黄土试样室内双线压缩试验成果如下表所示,试用插入法求此黄土的湿陷起始压力与下列()值接近。()
A:37.5kPa
B:85.7kPa
C:125kPa
D:200kPa

某筏形基础底面尺寸为10m×20m,底面压力为220kPa,基础底面下设300mm褥垫层,基础埋深2,0m,勘察资料如下:



第1题,共5个问题
(单选题)复合地基压缩模量为()。
A:12MPa
B:18MPa
C:21MPa
D:25MPa

第2题,共5个问题
(单选题)桩数宜为()根。()
A:180
B:191
C:202
D:213

第3题,共5个问题
(单选题)单桩承载力特征值宜为()。
A:145kN
B:155kN
C:168kN
D:181kN

第4题,共5个问题
(单选题)复合地基承载力不宜小于()。
A:190.8kPa
B:200kPa
C:210kPa
D:220kPa

第5题,共5个问题
(单选题)如水灰比为0.5,泵量为60L/min,水泥密度为3t/m3,搅拌头提升速度不宜大于()。
A:1.06m/min
B:1.16m/min
C:1.26m/min
D:1.36m/min
有地下水时箱形基础基底压力的计算。 某高层建筑采用天然地基,基底面积为15m×45m,相应于荷载效应标准组合时,传至基础底面的包括上部结构及地下室的竖向力总重设计值为135000kN,基础埋深及工程地质剖面如图3.1.2.8所示,则地基土所承担的压力为()kPa。
A:220
B:200
C:180
D:160
某碎石土层中共进行6次重型动力触探试验,修正后的动探击数分别为14、11.2、12.4、10.1、9、12,该碎石土的密实度为()。
A:松散
B:稍密
C:中密
D:密实
柱下桩基如习图4.3.4所示,承台混凝土抗压设计强度f=1.71MPa。按《桩基规范》计算承台长边受剪承载力,其值与()最接近。()
A:6.5MN
B:8.5MN
C:10.5MN
D:12.5MN
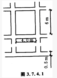
筏形基础底板厚度验算。某梁板式筏形基础如图3.7.4.1所示,相应于荷载效应基本组合时基础底面平均净反力设计值为280kPa,混凝土强度fT=1.1MPa,钢筋保护层厚度为50mm。若底板厚度未知,试按受冲切验算所需底板厚度为()m。()
A:0.3
B:0.4
C:0.5
D:0.6
某铁路通过多年冻土区,路基土层为粉质黏土,相对密度d=2.72,质量密度ρ=2.0g/cm3,冻土总含水量ω0=39%,冻土融沉后含水量ω=22%,塑限含水量ω0=19%。根据《岩土工程勘察规范》(GB50021-2001),计算该段多年冻土融沉系数δ0,并判定符合下列()融沉等级。()
A:9.7(Ⅳ)
B:12.2(Ⅳ)
C:15.5(Ⅳ)
D:24.8(Ⅴ)
某建筑边坡挡土墙墙背竖直光滑,墙后填土水平,如图所示。上层土为2m厚的中砂,重度为18kN/m3,内摩擦角为26°,下层土为4m厚的粗砂,重度为19kN/m3,内摩擦角为32°。试问:4m粗砂砂层作用在挡土墙上的总主动土压力(kN/m)最接近下列()项。
A:80
B:85
C:90
D:95
某黏土场地中采用砂石桩处理,天然地基承载力为90kPa,处理后复合地基承载力为150kPa,砂桩桩体承载力为300kPa,如采用等边三角形布桩,桩径为0.8m,按《建筑地基处理技术规范》(JGJ79-2002)计算,砂桩间距宜为()。
A:1.23m
B:1.43m
C:1.63m
D:1.83m
某黏性土场地中地下水位为0.5m,基础埋深为1.0m,土层重度为19kN/m3,十字板剪切试验结果表明,修正后的不排水抗剪强度为36kPa,场地中黏性土地基的容许承载力应为()。
A:72kPa
B:85kPa
C:91kPa
D:100kPa
基坑工程设计应具备下列()资料
A:拟建工程的地下管线图
B:符合要求的岩土工程勘察报告
C:地下水控制
D:拟建工程的总平面图
某市的一个供水井群供水时形成的平均水位下降值为15m,在这个范围内,黏性土及粉细砂的厚度约为10m,卵石土的厚度为5m,在经过三年的供水后,降落漏斗中的地面平均下降138mm,在同一地貌单元的临近地段上,新完成了一个供水井群,该井群的降落漏斗中的地下水位平均降幅为20m,其中的卵石土的厚度为6m,其余为黏性土及粉细砂,试预测在该井的影响下,地面的沉降量是()mm。()
A:257
B:308
C:368
D:426
已知基础底面尺寸为4m×2m,在基础顶面受上部结构传来的相应于荷载效应标准组合时的偏心竖向力为500kN,偏心距1.41m,基础埋深2m,如图3.1.2.7所示,则基底边缘最大压力为()kPa。()
A:146.20
B:239.77
C:119.88
D:73.10

有一建筑无浅基础,宽为2.5m,埋深1.5m,地下水位深1.5m,土的各类参数见下表,作用在基础顶面竖向荷载F=600kN,其按抗震要求为乙类建筑,试回答以下问题:



第1题,共6个问题
(单选题)该场地的液化等级为()。
A:轻微液化
B:中等液化
C:严重液化
D:明显液化

第2题,共6个问题
(单选题)地基抗震承载力最接近()。
A:266.6kPa
B:289.3kPa
C:312.5kPa
D:333.6kPa

第3题,共6个问题
(单选题)地基持力层承载力特征值最接近()。
A:150kPa
B:200kPa
C:240kPa
D:260kPa

第4题,共6个问题
(单选题)对液化土层进行砂石桩挤密处理,砂石桩直径400mm,正方形排列,要求将孔隙比从0.9降低到0.78,则砂石桩间距值接近()。
A:0.89m
B:1.12m
C:1.36m
D:1.56m

第5题,共6个问题
(单选题)应采取的抗液化措施为()。
A:全部消除液化沉陷
B:全部消除液化沉陷,或部分消除液化缺陷且对基础和上部结构处理
C:部分消除液化沉陷,或对基础和上部结构处理
D:基础和上部结构处理,或更高要求的措施

第6题,共6个问题
(单选题)按抗震要求验算基础的宽度约为()。
A:2.13m
B:2.68m
C:2,75m
D:2.89m
某建筑桩基承台如图所示,相应于作用的基本组合时的柱轴压力F=12000kN,力矩M=1500kN·m,水平力H=600kN。承台及其上填土的平均重度为20kN/m3。按《建筑桩基技术规范》作答。试问:计算图示虚线截面处的弯矩设计值(kN·m)最接近下列()项。()
A:4800
B:5300
C:5600
D:5900
某民用建筑采用片筏基础,埋深为4.0m,宽度为10m,0~3m为黏性土,3~10m为液化砂土,相对密度Dr=0.60,场地地震烈度为8度,地震作用效应标准组合时的基底压力为160kPa,该建筑物地震时的液化震陷量为()。
A:0.26m
B:0.41m
C:0.63m
D:0.82m
某铁路为Ⅱ级单线铁路,设计行车速度100km/h,轨道类型为次重型,采用无缝线路轨道,在曲线段的曲线平均径为700m时,土质路堤的路基面宽度宜为()m。()
A:8.0
B:7.9
C:7.5
D:7.0
对开挖深度()但现场地质条件、周边环境和地下管线特别复杂,开挖后可能对周边环境产生严重不良影响或造成破坏的深基坑,应进行设计方案论证。
A:达到或超过10m
B:开挖深度不足5m
C:开挖深度不足10m
D:达到或超过5m
建筑场地为淤泥质土场地,淤泥质土厚为10m,其下为泥岩,土层水平向渗透系数为,采用砂井预压法进行地基处理,袋装砂井直径为70mm,砂料渗透系数,涂抹区渗透系数ks=0.5×10-7cm/s,取s=3,砂井按三角形布置,间距1.4m,深度为10m,砂并打穿受压土层,预压荷载为80kPa,一次适加,加荷速率为8kPa/d,按《建筑地基处理技术规范》(JGJ79-2002)计算。 系数F为()。
A:7.023
B:7.223
C:7.423
D:7.623